
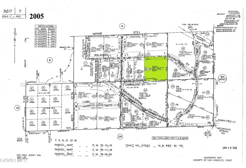
10AC / ACTON, CA / OWN WELL Discover the freedom and potential of country living on this 10-acre gross land parcel set in the peaceful rural community of Acton, California. With wide-open space, mountain views, and a tranquil setting, this property offers the perfect blend of privacy and accessibility. Located in a quiet area surrounded by custom homes and ranches, this parcel is zoned A-2-1 by Los Angeles County, allowing for a wide range of uses including equestrian facilities, a private residence, agricultural activities, or a working ranch. Whether you're dreaming of building your custom home, starting a small farm, or simply investing in land, this property provides the ideal foundation. Street easements are in place for convenient access, and the parcel's location makes commuting simple—just minutes from Highway 14, offering easy routes to both the Santa Clarita Valley and the Antelope Valley. Acton is a small, welcoming community known for its rural charm, horse-friendly lifestyle, and scenic beauty. Set against the backdrop of the Sierra Pelona Mountains, Acton combines a laid-back lifestyle with proximity to modern conveniences. Residents enjoy local wineries, hiking trails, and a strong sense of community, all within an easy drive to larger employment and shopping centers in nearby cities. If you've been searching for a spacious land parcel in a serene setting with room to grow and build your vision, this is an excellent opportunity. Embrace the wide-open skies, peaceful surroundings, and potential that this 10-acre property in Acton has to offer.
IDX information is provided exclusively for personal, non-commercial use, and may not be used for any purpose other than to identify prospective properties consumers may be interested in purchasing. Information is deemed reliable but not guaranteed.
Last Updated: . Source: GAVAR
Provided By
Listing Agent: Ann Trussell (#96433)
Listing Office: HomeBased Realty (#2484)
Get an estimate on monthly payments on this property.
Note: The results shown are estimates only and do not include all factors. Speak with a licensed agent or loan provider for exact details. This tool is sourced from CloseHack.